For Sale

$695,000

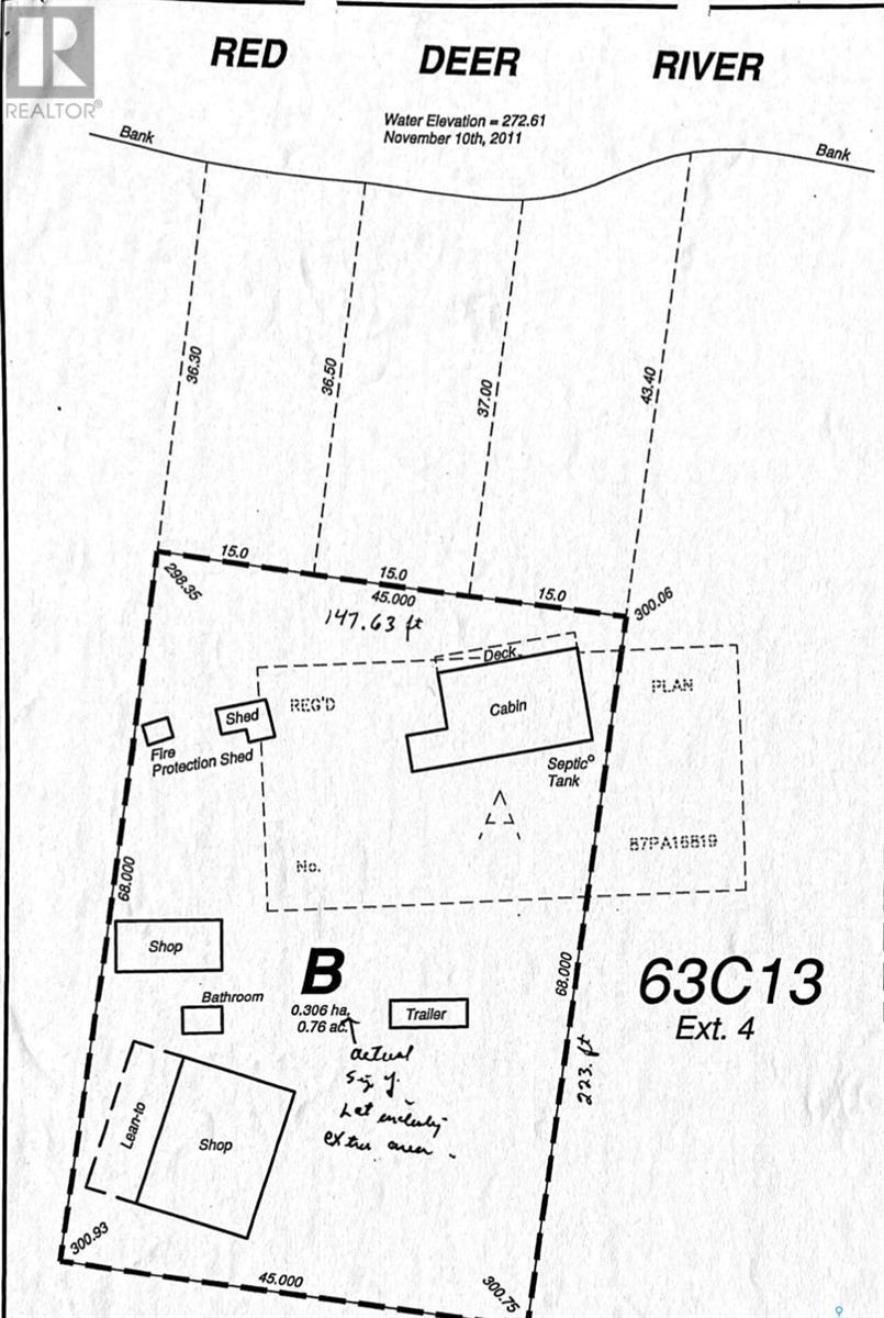
Northeast Lease .76 Acres , Hudson Bay Rm No. 394, Saskatchewan S0E0Y0

3 Beds 1 Baths

Remarks

For the wilderness enthusiastic this could be yours, property like this doesn’t come along very often. This rare gem is .76 acres of leased land in the Boral Forest located Northeast of Hudson Bay, Saskatchewan next to the Manitoba border. The rustic 3 bedroom log cabin has an open concept with sky lights over the dining area or eat outside on the attached screen deck. We also have a guest house, a power plant shed, as well as storage sheds, shower room, a 16’x 33’ insulated & heated work shop, and a 36.6’x48.6’ shop for all the toys which has a 16’ deep lean on it for more storage. Also included is some of the equipment to maintain and enjoy the property, water tanks & totes, heavy duty bush mower, pull behind PTO driven grader, flat deck trailers, 3 pt hitch finishing mower, 60”cut riding mower, commercial diesel mower, case IH tractor with loader & blade, construction heater, wood stove and wood heater, log splitter, gas powered wash machine, 5/8press drill, air compressor, extra lumber & aspenite. There is a pontoon barge, a tower, cell booster and more.\r\nLocated in the peaceful woods close to the river banks you can listen to the ripple of the Red Deer River or venture down to catch supper. There are no more leases are to be given by the Saskatchewan government in this area as it is in a Ran area. Check out your next paradise where you can fish, hunt, enjoy nature located North East of Hudson Bay, Sk next to the Manitoba border. This rustic three-bedroom log cabin is located in the Boral Forest, northeast of Hudson Bay, Saskatchewan, close to the Manitoba border. The cabin features an open concept design with skylights over the dining area, and an attached screen deck for outdoor dining. Call today to set up your viewing! (id:27)

Property Summary

  • Lot Frontage: 147.5 Feet
  • Lot Size: 32921.49 Square Feet
  • No. of Parking Spaces: 8
  • Floor Space (approx): 1145 Square Feet
  • Acreage: Yes
  • Waterfront: Yes
  • Built in: 1987
  • Bedrooms: 3
  • Bathrooms (Total): 1

Property Features:

  • Features:
    Acreage , Irregular lot size
  • Landscape Features:
    Lawn
  • Ownership Type:
    Leasehold
  • Parking Type:
    Detached garage , Parking Spaces
  • Property Type:
    Single Family
  • Structure Type:
    Deck
  • WaterFront Type:
    Waterfront

Building Features:

  • Appliances:
    Refrigerator , Window Coverings , Storage Shed , Stove
  • Architectural Style:
    Bungalow
  • Building Type:
    House
  • Heating Fuel:
    Wood

Rooms

  • Kitchen:
    Level: Main 3.86 m x 2.72 m
  • Dining:
    Level: Main 4.80 m x 3.05 m
  • Living:
    Level: Main Measurements not available x 17 ft
  • Bedroom:
    Level: Main 2.44 m x 2.26 m
  • Bedroom:
    Level: Main 2.74 m x 2.31 m
  • Bedroom:
    Level: Main 4.27 m x 3.05 m
  • Bathroom:
    Level: Main 2.46 m x 1.35 m
  • Porch:
    Level: Main 1.73 m x 1.27 m
  • Sun Room:
    Level: Main 1.96 m x 3.96 m
  • Storage:
    Level: Main 1.80 m x 2.39 m

Lifestyle
Neighbourhood Info

Get More Info

Book a tour